Subdivision Application - O'Brien Lake West

Subdivision Application - O'Brien Lake West

Public Notice Details

Notice Date: Category: Subdivision Application

PURSUANT TO SECTION 653(5) OF THE MUNICIPAL GOVERNMENT ACT: Please be advised that the following application for subdivision approval has been received by the City of Grande Prairie:

File #: Z26-0007

Legal Description: Plan 062 1428 Block 1 Lot 11A (O’Brien Lake West – Phase 4)

Image
map showing area of subdivision
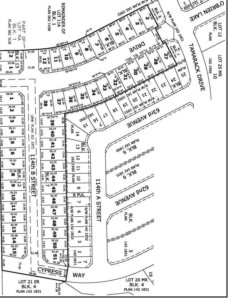
Image
Showing tentative lotting of subdivision

 

Number of Lot(s): 53 Lots 

Land Use: General Residential District (RG)

Description: The applicant is proposing to subdivide Phase 4 of the O’Brien Lake West Outline Plan, containing 53 lots within Plan 062 1428 Block 1 Lot 11A.

Last Day to Receive Comments: May 4, 2026

Details of the foregoing application may be obtained by contacting the Subdivision Officer at 780-830-5009 or Subdivisions@cityofgp.com

Adjacent landowners who wish to comment on the above applications must do so in writing. Written submissions must be received by the City of Grande Prairie before 4:30 p.m. on May 4, 2026. Comments can be submitted by email to subdivisions@cityofgp.com or mailed/delivered to:

            Donald Tse

            Subdivision Officer

            P.O. Bag 4000

            9505-112 Street

            Grande Prairie, Alberta, T8V 6H8

Any personal information submitted in any written comments in response to this notification are collected under the authority of Section 33(a) and 33(c) of the Freedom of Information and Protection of Privacy (FOIP) Act, RSA 2000, c. F-25 as amended from time to time and Section 636 of the Municipal Government Act, RSA 2000, c. M-26, as amended from time to time, for the purpose of receiving public participation in municipal decision-making and to confirm that you are a resident or landowner. If you have questions regarding the collection and use of your personal information, please contact me at the phone number or e-mail listed above.