Notification of Adjacent Property Owners - Variances

Notification of Adjacent Property Owners - Variances

Public Notice Details

Notice Date: Category: Development Permits | Variance

This notification is instead of the usual letter sent by way of Canada Post to the adjacent property owners.  Please contact the Development Officer named below to provide feedback or request further information.

Permit Numbers:  PL250359 and PL250360

Location:  8403 and 8405 - 101 Avenue, Grande Prairie

Land Use:  RS - Small Lot Residential

Feedback must be received by October 9, 2025 to Diane Tennant    dtennant@cityofgp.com

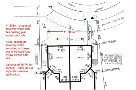
Information:  An application has been received for a semi-detached dwelling which spans 2 lots, with a common wall in the middle.  The RS Land Use District limits the maximum driveway width on these lots (which are 7.6m wide and have no rear lane access) to a total driveway width of 7.6m (or 3.8m per lot).  The applicant has requested driveway widths of 5.65m per lot - so a total width of 11.3m.  This results in a variance of 48.7% for the maximum driveway width on each of the 2 properties.  These driveways have proposed garages of the same width as the driveways.  

Image

Any person(s) that feel affected by this decision may file an appeal to the Subdivision and Development Appeal Board by contacting the Board Secretary on or before the Appeal Expiry Date listed above.

Approved Date: Date the variance or discretionary use was approved by Development Permitting
Permit Number: Development permitting file number of the permit
Location: Civic address of the property
Land Use: Proposed use as described in the land use district
Appeal Expiry Date: Last day to file an appeal to the development. Appeals expire at 11:59pm.

Information (site/building plans & copy of the development conditions) with respect to any or all Development Permits identified may be obtained by contacting the City of Grande Prairie Planning and Development Department.

Per: Development Authority, City of Grande Prairie